釣果情報

磯釣果 グレ 33〜40cm 3尾
2026.02.21
ジギング釣果 喧嘩鰤、ワラサ、サワラ、真鯛、ヒラメ、キジハタ!
2026.02.21
ジギング釣果 鰤、ワラサ、サワラ、ヒラメ
2026.02.21
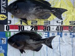
磯釣果 グレ35㎝〜45㎝
2026.02.21
磯釣果 グレ 44cm
2026.02.21
朝1鰆ナブラでキャスとジギングで思い思い釣って頂き5本ゲット
2026.02.21
ライト天秤ふかせ釣果 天秤も波長の合うお客さんは連発
2026.02.21
沖釣り釣果 アマダイ ウッカリ チャリコ、アカハタ、ウッカリカサゴ、アヤメカサゴ
2026.02.21
鯛ラバ、ジギング釣果 根魚中心にアマダイ、オニカサゴなど
2026.02.21
カワハギ便釣果 後半は時合いで連発もありいい感じでした❗
2026.02.21
甘鯛乗り合い釣果 甘鯛46cm頭に2匹~10匹。レンコ鯛 アヤメ他
2026.02.21
磯釣果 口太グレ32㎝ 真鯛63㎝
2026.02.20
鯛ラバ、ジギング釣果 真鯛 アマダイ ウッカリ レンコダイ
2026.02.20
磯釣果 チヌ54センチ
2026.02.20
ジギング釣果 喧嘩ブリ ワラサ
2026.02.20
磯釣果 イサキ34〜39cm2匹
2026.02.20
磯釣果 ダイの 45〜57センチを6匹。
2026.02.20
磯釣果 尾長グレ 40㎝
2026.02.20
磯釣果 グレ 43~38cm 4匹
2026.02.20
カワハギ便釣果 7枚から0枚で19枚
2026.02.20
ジギング釣果 鰤、ワラサ、真鯛、シーバス、カサゴ!
2026.02.20
磯釣果 口太グレ36、45㎝
2026.02.20
磯釣果 オオモンハタ50㎝
2026.02.20
磯釣果 グレ 42cm
2026.02.20
磯釣果 グレ 46cm
2026.02.20
タイラバ釣果 アマダイ マハタ レンコ、ウッカリ、アヤメをポツポツ
2026.02.19
ジギング釣果 後半に込潮になったらシーバスとブリが釣れました。
2026.02.19
鬼乗り合い釣果 朝一にキープサイズのオニカサゴをキャッチ
2026.02.19
磯釣果 グレ45.5センチ
2026.02.19
磯釣果 マダイの 49〜56センチを7匹。